Featured headlines

Ocean eddies reshape coastal seas as warming accelerates at the surfaceClimate
Ocean eddies reshape coastal seas as warming accelerates at the surface
April 15, 2026 Full article
Rice cultivation nears heat limits as warming threatens future yieldsScience
Rice cultivation nears heat limits as warming threatens future yields
After 9,000 years of cultivation, a new study finds rice nearing stable thermal limits as warming threatens production across Asia’s major growing regions Summary: Long-term…
April 16, 2026
Full article
How soil bacteria move into lakes by gaining or losing genesScience
How soil bacteria move into lakes by gaining or losing genes
Researchers at the University of Zurich have analyzed the genome of bacteria living in Lake Zurich to conclude that microbes employ two different strategies to…
April 14, 2026
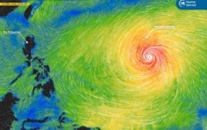
Full articleImage of the day: Super Typhoon Sinlaku near the Mariana IslandsNews
Image of the day: Super Typhoon Sinlaku near the Mariana Islands
Around 8–9 April 2026, a tropical system began to organise over Micronesia in the western Pacific, at a time of…
April 15, 2026
Full articleJapan’s net greenhouse gas emissions fall to record lowNews
Japan’s net greenhouse gas emissions fall to record low
Tokyo, Japan | AFP | Muser NewsDesk Japan's net greenhouse gas emissions fell 1.9 percent in 2025 to hit their lowest…
April 14, 2026
Full articleImage of the day: Arctic sea ice remains at record low levels in March 2026News
Image of the day: Arctic sea ice remains at record low levels in March 2026
Arctic sea ice remained at record low levels in March 2026, after the winter maximum peaked at 14.29 million km²…
April 14, 2026
Full articleGreece’s ancient sites get climate-change checkupNews
Greece’s ancient sites get climate-change checkup
Athens, Greece | AFP | Muser NewsDesk Worsening wildfires, soaring heatwaves and rising water levels have prompted Greek officials to take…
April 13, 2026
Full articleNews

Image of the day: Pearl farming patterns in Ahe Atoll lagoonNews
Image of the day: Pearl farming patterns in Ahe Atoll lagoon
Ahe Atoll, an associated commune of Manihi in the Tuamotu Archipelago – a chain of coral atolls in French Polynesia – lies 484 km from…
April 3, 2026
Full article
Wildfires reached record levels in the EU in 2025News
Wildfires reached record levels in the EU in 2025
Fires started early in the year and intensified during summer heatwaves. More than 2,242,000 hectares of land were affected by wildfires across Europe, the Middle…
April 3, 2026
Full article
Waste water to clean energy: Japanese engineers harness the power of osmosisNews
Waste water to clean energy: Japanese engineers harness the power of osmosis
Fukuoka, Japan | AFP | Muser NewsDesk A Japanese water plant is harnessing the natural process of osmosis to generate renewable energy that could one day…
April 3, 2026
Full article
One dead as storm front pummels GreeceNews
One dead as storm front pummels Greece
Athens, Greece | AFP A man died near Athens Thursday as a three-day storm front lashed Greece with gale-force winds, causing localised floods and disrupting transport.…
April 2, 2026
Full article
Brazil court quashes Neymar environmental damage fineNews
Brazil court quashes Neymar environmental damage fine
Rio De Janeiro, Brazil | AFP A Rio de Janeiro court has overturned a fine of more than $3 million against football star Neymar for allegedly…
April 1, 2026
Full article
Italy delays coal phase-out by over a decadeNews
Italy delays coal phase-out by over a decade
Rome, Italy | AFP Italy's parliament voted Tuesday to delay the closure of the country's coal-fired power stations by over a decade, a move experts slammed…
April 1, 2026
Full articleClimate

Ocean eddies reshape coastal seas as warming accelerates at the surfaceClimate
Ocean eddies reshape coastal seas as warming accelerates at the surface
New research reveals a powerful yet overlooked driver of climate change: Intensifying ocean eddies. These swirling currents – that break off from major currents –…
April 15, 2026
Full article
Arctic melt ponds identified as source of cloud-forming particlesClimate
Arctic melt ponds identified as source of cloud-forming particles
Findings offer insight into why Arctic clouds behave differently, filling a major gap in current climate and weather models Summary: Biological processes inside meltwater on…
April 13, 2026
Full article
Ocean temperatures near record high in March: EU monitorClimate
Ocean temperatures near record high in March: EU monitor
Paris, France | AFP | Muser NewsDesk Ocean temperatures hit near-record highs for March, the Copernicus Climate Change Service said on Friday, signalling a likely shift…
April 10, 2026
Full article
Hot-dry extremes could affect nearly 30% of the global population by 2100Climate
Hot-dry extremes could affect nearly 30% of the global population by 2100
The increase may hit nearly 30% of the global population with extreme events more dangerous than heat or drought alone, especially in low-income tropical nations…
April 8, 2026
Full article
Extreme heat linked to low birth weight in PakistanClimate
Extreme heat linked to low birth weight in Pakistan
Exposure to extreme heat conditions is resulting in more babies being born with low birth weight, according to a new study involving Adelaide University researchers.…
April 2, 2026
Full article
Global population exceeds Earth’s sustainable limitsClimate
Global population exceeds Earth’s sustainable limits
Analysis of more than 200 years of data shows a mid-20th century shift in global population dynamics, with rising numbers increasingly linked to mounting environmental…
March 31, 2026
Full article
Why Antarctic sea ice suddenly declined after decades of growthClimate
Why Antarctic sea ice suddenly declined after decades of growth
Although climate models predicted Antarctic sea ice would steadily dwindle, its extent grew for decades until 2016. A new study finds the ice finally receded…
March 30, 2026
Full articleScience

Rice cultivation nears heat limits as warming threatens future yieldsScience
Rice cultivation nears heat limits as warming threatens future yields
After 9,000 years of cultivation, a new study finds rice nearing stable thermal limits as warming threatens production across Asia’s major growing regions Summary: Long-term…
April 16, 2026
Full article
How soil bacteria move into lakes by gaining or losing genesScience
How soil bacteria move into lakes by gaining or losing genes
Researchers at the University of Zurich have analyzed the genome of bacteria living in Lake Zurich to conclude that microbes employ two different strategies to…
April 14, 2026
Full article
Gray whales face 18% mortality rate in San Francisco Bay amid ship traffic risksScience
Gray whales face 18% mortality rate in San Francisco Bay amid ship traffic risks
The climate crisis seems to be altering gray whales’ access to food, leading them to change their migration paths and forage in San Francisco Bay…
April 13, 2026
Full article
Climate Science Digest: April 10, 2026Science
Climate Science Digest: April 10, 2026
Explore the latest insights from top science journals in the Muser Press roundup (April 10, 2026), featuring impactful research on climate change challenges. In brief:…
April 10, 2026
Full article
Parasites thrive far from the equator, defying biodiversity ruleScience
Parasites thrive far from the equator, defying biodiversity rule
A new FAU study reveals a surprising twist: certain trematode parasites – worm-like organisms that cycle through snails, crabs and fish – are actually more…
April 2, 2026
Full article
Climate Science Digest: March 31, 2026Science
Climate Science Digest: March 31, 2026
Explore the latest insights from top science journals in the Muser Press roundup (March 31, 2026), featuring impactful research on climate change challenges. In brief:…
March 31, 2026
Full articleFacts

Planet trapped record heat in 2025: UNFactsNews
Planet trapped record heat in 2025: UN
Geneva, Switzerland | AFP | Muser NewsDesk The amount of heat trapped by the Earth reached record levels in 2025, with the consequences of such warming…
March 23, 2026
Full article
February fifth warmest on record, extreme rain in Europe: EU monitorFacts
February fifth warmest on record, extreme rain in Europe: EU monitor
Paris, France | AFP | Muser NewsDesk The world logged its fifth hottest February on record, with western Europe drenched by extreme rainfall and widespread flooding,…
March 10, 2026
Full article
Climate change turbocharged Spain’s Valencia floods: studyFactsNews
Climate change turbocharged Spain’s Valencia floods: study
Paris, France | AFP | Muser NewsDesk Human-driven climate change intensified rainfall that triggered the Spain's deadliest natural disaster in a generation when flash floods hit…
February 17, 2026
Full article
2025 ranked as third hottest yearNewsFacts
2025 ranked as third hottest year
Global temperatures remained near historic highs in 2025, making it the third hottest year ever recorded and extending a run of exceptional warmth that now…
January 14, 2026
Full article
US judge orders restart of wind project targeted by TrumpNewsFacts
US judge orders restart of wind project targeted by Trump
New York, United States | AFP A US federal judge cleared the way Monday for an offshore wind energy project to resume work in New England,…
January 13, 2026
Full article
Regional temperature records broken across the world in 2025FactsNews
Regional temperature records broken across the world in 2025
Paris, France | AFP | Muser NewsDeskRecords shattered in Central Asia Up to 1.5 °C hotter in the Sahel Scorching summer in Europe Central Asia, the…
December 31, 2025
Full article
Image of the day: November 2025, the third warmest on recordFactsNews
Image of the day: November 2025, the third warmest on record
The November 2025 temperature map brings attention to a month that ranked as the third-warmest November on record, according to the Copernicus Climate Change Service…
December 10, 2025
Full article



