
Schools shut, flights cancelled as Typhoon Ragasa nears Hong KongNews
SourceSeptember 23, 2025
Full article
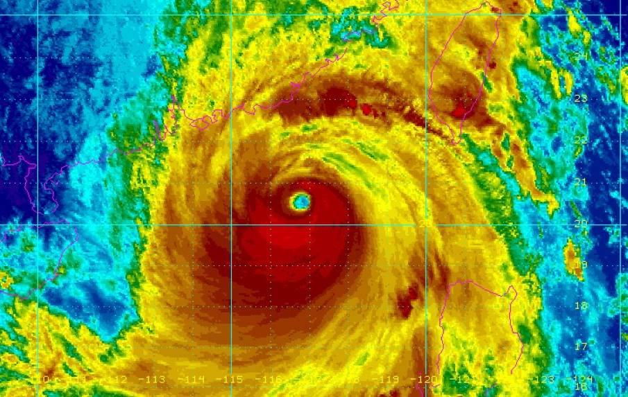
Schools shut, flights cancelled as Typhoon Ragasa nears Hong Kong
Hong Kong, China | AFP Hong Kong shut schools and cancelled flights on Tuesday as Super Typhoon Ragasa neared the financial centre with a force that…


Hong Kong records highest daily rainfall in August since 1884: ObservatoryNews
SourceAugust 5, 2025
Full article
Hong Kong records highest daily rainfall in August since 1884: Observatory
Hong Kong, China | AFP Hong Kong on Tuesday recorded its highest daily rainfall in August since 1884, the city's weather observatory said, after the highest-tier…


Extreme weather and sustainability in focus at HKU eventNews
SourceApril 16, 2025
Full article
Extreme weather and sustainability in focus at HKU event
Uniting cross-sector forces to inspire climate action in the next generation Jointly organised by the Department of Geography at the University of Hong Kong (HKU)…


Greenpeace sounds alarm on microplastics ingested by Hong Kong wildlifeNews
SourceSeptember 9, 2024
Full article
Greenpeace sounds alarm on microplastics ingested by Hong Kong wildlife
By Xinqi SU | AFP Hong Kong, China - Microplastic particles turned up in the vast majority of waste samples taken from Hong Kong wildlife…
